NOAA Hurricane Tracker: Live Maps And Updates

S.Skip 20 views
NOAA Hurricane Tracker: Live Maps And Updates

NOAA Hurricane Tracker: Stay Informed with Live Maps

Hey everyone! Are you ready to dive into the world of hurricane tracking ? If you’re anything like me, you’re always keeping an eye on the weather, especially during hurricane season. And when it comes to staying informed, there’s one name that always pops up: NOAA . So, let’s explore the awesome resources NOAA provides, specifically their live maps and hurricane trackers , to help you stay safe and informed. We’ll break down everything you need to know, from understanding the basics of hurricane tracking to using NOAA’s tools effectively. Let’s get started, shall we?

What is a Hurricane Tracker and Why is it Important?

First things first, what exactly is a hurricane tracker ? Simply put, it’s a tool that provides real-time information about hurricanes, tropical storms, and tropical depressions. It shows you the storm’s current location, its predicted path, wind speeds, and other crucial data. NOAA’s hurricane tracker is a vital resource because it helps us understand the potential risks and prepare accordingly. Think of it as your personal weather superhero, giving you the lowdown on everything happening in the tropics.

The importance of a hurricane tracker can’t be overstated. Hurricanes can be incredibly dangerous, causing significant damage and posing a threat to human lives. By using a NOAA live map and tracker, you gain access to critical information that allows you to:

  • Stay Informed: Know where the storm is, where it’s headed, and how strong it is.
  • Prepare Your Home: Take necessary precautions like boarding up windows and stocking up on supplies.
  • Evacuate Safely: If an evacuation order is issued, the tracker helps you understand the risk and plan your route.
  • Protect Your Family: Ensure the safety of your loved ones by staying up-to-date on the latest developments.

Without these trackers, we’d be flying blind during hurricane season, so let’s appreciate the technology and the hard work of the people who make these tools available. It’s like having a team of meteorologists working for you 24 7 , keeping you in the know and helping you stay safe. So, next time you’re checking the weather, remember the power of the NOAA hurricane tracker . It’s more than just a map; it’s a lifeline.

Diving into NOAA’s Live Hurricane Tracking Tools

Okay, now that we know why a hurricane tracker is so important, let’s look at NOAA’s live hurricane tracking tools. NOAA offers several resources, including their official website, the National Hurricane Center (NHC), and various interactive maps. These tools are designed to provide you with the most up-to-date information possible. Let’s explore some of the key features:

  • National Hurricane Center (NHC): This is the heart of NOAA’s hurricane tracking efforts. The NHC provides detailed forecasts, watches, and warnings. They also offer discussions and analysis of ongoing storms. The NHC’s website is your go-to source for the most accurate and reliable information.
  • Interactive Maps: NOAA’s interactive maps are a visual treat. They display the storm’s current location, its predicted path, and the areas under watch or warning. You can often customize these maps to show different data layers, such as wind speed, rainfall, and storm surge potential. These maps are updated frequently, so you always have the latest information at your fingertips.
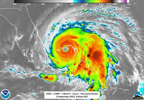
  • Real-time Data: NOAA’s trackers provide real-time data, including wind speeds, pressure readings, and satellite imagery. This data is essential for understanding the intensity and potential impact of a hurricane. The information is gathered from various sources, including satellites, aircraft, and ground-based observations.
  • Forecasts and Predictions: The trackers not only show the current location of a storm but also provide forecasts and predictions. These forecasts are based on sophisticated computer models and the expertise of meteorologists. They help you anticipate the storm’s future path and intensity, allowing you to prepare effectively.

So, whether you are a seasoned weather watcher or just a casual observer, take some time to familiarize yourself with these tools. The better you understand them, the better prepared you will be when hurricane season rolls around. Trust me, it’s worth the time to learn how to use these fantastic resources effectively. It’s like having a superpower that helps you stay safe and informed during a hurricane. And who doesn’t want a superpower?

How to Use NOAA’s Live Maps Effectively

Alright, let’s get down to the nitty-gritty: how to actually use NOAA’s live maps effectively. It might seem daunting at first, but trust me, it’s pretty straightforward once you get the hang of it. Here’s a step-by-step guide to help you navigate these valuable resources:

  1. Access the NOAA Website or NHC: Start by going to the official NOAA website or the National Hurricane Center website. You’ll find a wealth of information and tools on these sites, all designed to keep you informed. It’s your central hub for all things hurricane-related.
  2. Locate the Interactive Maps: Look for the interactive maps section. This is usually easy to find, as it’s a prominent feature on the website. These maps are your primary visual tool for tracking storms.
  3. Understand the Symbols: The maps use various symbols to represent different aspects of the storm. Familiarize yourself with these symbols. You will see things like: The storm’s current location (often a dot or a hurricane symbol), the predicted path (a line showing where the storm is expected to go), the areas under watch or warning (color-coded zones indicating the level of threat). Knowing the symbols will help you interpret the map quickly and accurately.
  4. Check for Watches and Warnings: Pay close attention to any watches and warnings. These are crucial alerts that indicate the potential for dangerous conditions. A hurricane watch means that hurricane conditions are possible within the specified area. A hurricane warning means that hurricane conditions are expected within the specified area. Make sure to understand the difference and take appropriate action.
  5. View the Forecasts: Look at the forecasts. They provide the predicted path and intensity of the storm. The forecasts are based on the latest data and sophisticated computer models, so they are constantly updated. Pay attention to the expected arrival time of the storm and the potential impact on your area.
  6. Use the Additional Data Layers: Experiment with the additional data layers, such as wind speed, rainfall, and storm surge potential. These layers provide additional insights into the storm’s characteristics and potential hazards. Understanding these layers will help you assess the level of risk and plan accordingly.
  7. Stay Updated: Hurricane information is constantly changing, so stay updated! Check the maps frequently and pay attention to any updates or alerts. The more informed you are, the better prepared you will be.

By following these steps, you will be able to use NOAA’s live maps effectively and stay informed during hurricane season. Remember, knowledge is power when it comes to hurricanes. So, take the time to learn about these resources, and you’ll be well-equipped to face whatever the weather throws your way. You’ve got this!

Understanding Hurricane Categories and Terminology

Alright, let’s talk about hurricane categories and some key terminology you’ll encounter when using NOAA’s hurricane tracker. Understanding these terms is crucial to accurately interpreting the information and preparing effectively. So, let’s get into it.

  • Hurricane Categories: Hurricanes are classified into categories based on their sustained wind speeds. The Saffir-Simpson Hurricane Wind Scale is used to categorize hurricanes from Category 1 to Category 5. Here’s a quick breakdown:
    • Category 1: 74-95 mph winds – Can cause some damage to buildings, such as damage to roofing and siding. Power outages are likely.
    • Category 2: 96-110 mph winds – More significant damage to buildings and some structural damage. Power outages can last for several days.
    • Category 3: 111-129 mph winds – Extensive damage to buildings. Some buildings may be destroyed. Power outages can last for weeks.
    • Category 4: 130-156 mph winds – Catastrophic damage. Many buildings will be destroyed. Power outages can last for months.
    • Category 5: 157 mph or higher winds – Catastrophic damage. Most buildings will be destroyed. Power outages can last for months.
  • Watches and Warnings: We briefly touched on this before, but let’s go over it again. It’s super important to understand the difference.
    • Hurricane Watch: Issued when hurricane conditions (sustained winds of 74 mph or higher) are possible within a specified area. A watch is typically issued 48 hours before the anticipated onset of tropical-storm-force winds.
    • Hurricane Warning: Issued when hurricane conditions (sustained winds of 74 mph or higher) are expected within a specified area. A warning is typically issued 36 hours before the anticipated onset of tropical-storm-force winds.
  • Other Key Terms:
    • Tropical Depression: A tropical cyclone with maximum sustained winds of 38 mph or less.
    • Tropical Storm: A tropical cyclone with maximum sustained winds of 39-73 mph. At this point, the storm is given a name.
    • Storm Surge: An abnormal rise of water generated by a storm, over and above the predicted astronomical tides. It can be incredibly destructive.
    • Storm Tide: The water level rise due to the combination of storm surge and the astronomical tide.
    • Cone of Uncertainty: The area that indicates the probable path of the center of a tropical cyclone. The cone is constructed based on historical forecast errors and is updated with each new forecast.

By understanding these hurricane categories and terminology , you will be able to navigate NOAA’s tools with confidence and make informed decisions about your safety. Knowledge is power, so take the time to familiarize yourself with these terms. It will make a huge difference in your ability to stay safe and protect yourself and your loved ones. You’ve got this!

Practical Tips for Staying Safe During a Hurricane

Alright, guys, let’s wrap things up with some practical tips for staying safe during a hurricane . Staying informed is only half the battle. You also need to know what to do when a hurricane is approaching. Here’s a rundown of essential safety measures:

  • Create a Hurricane Preparedness Kit: Assemble a kit with essential supplies like water, non-perishable food, a first-aid kit, medications, a flashlight, batteries, a portable radio, and cash. It’s like your survival toolbox, making sure you have the basics covered.
  • Secure Your Home: Protect your home by boarding up windows, trimming trees and shrubs, and securing loose outdoor objects. This helps minimize damage from high winds and flying debris.
  • Know Your Evacuation Zone: Find out if you live in an evacuation zone and have a plan for where you will go if an evacuation is ordered. It’s smart to have multiple options, like staying with friends or family outside the zone or identifying a public shelter.
  • Stay Informed: Keep an eye on the NOAA live map and other weather updates. Pay attention to watches, warnings, and any official instructions from local authorities.
  • Follow Evacuation Orders: If an evacuation order is issued, evacuate immediately. Don’t take chances. Your safety is the top priority.
  • During the Storm:
    • Stay Indoors: Remain inside a sturdy building, away from windows and doors.
    • Monitor Weather Updates: Keep your radio tuned to local news or a NOAA weather radio.
    • Stay Away from Floodwaters: Avoid walking or driving through floodwaters. They can be contaminated and carry hidden hazards.
    • Conserve Water: Water may be scarce after the storm, so use it sparingly.
  • After the Storm:
    • Assess Damage: Carefully inspect your property for damage before going outside.
    • Report Damage: Contact your insurance company to report any damage.
    • Be Cautious of Hazards: Be aware of downed power lines, debris, and other hazards.
    • Follow Official Guidance: Listen to official instructions from local authorities and emergency responders.

By following these safety tips , you can significantly reduce your risk during a hurricane. Remember, preparedness is key. Take the time to plan and prepare, and you’ll be much better equipped to weather the storm. Stay safe out there, folks! You’ve got this!

Disclaimer: This information is for general guidance only and does not constitute professional advice. Always follow the instructions of local authorities and emergency responders during a hurricane.