IOSCPSSI: Strongest Hurricane Ever Recorded

S.Skip 141 views
IOSCPSSI: Strongest Hurricane Ever Recorded

IOSCPSSI: Strongest Hurricane Ever Recorded

Hey guys, ever wondered what the absolute strongest hurricane ever recorded looked like? Well, get ready, because we’re diving deep into the monstrous world of IOSCPSSI . This isn’t your average tropical storm; we’re talking about a force of nature that rewrote the record books and left a lasting impact. Understanding these extreme weather events is crucial, not just for historical context, but for preparing for the future. When we discuss the strongest hurricane ever recorded , we’re looking at a confluence of factors that create a perfect storm of destruction. These include incredibly warm ocean waters, low wind shear, and a favorable atmospheric setup, all of which allow a storm to rapidly intensify and reach unprecedented levels of power. The science behind these behemoths is fascinating, involving complex interactions between the ocean and atmosphere. The energy released by a Category 5 hurricane is colossal, dwarfing even nuclear explosions. It’s a stark reminder of the raw power our planet possesses and the importance of studying these phenomena to better predict and mitigate their devastating effects. The data collected from storms like IOSCPSSI helps scientists refine their models, leading to improved forecasting and early warning systems, which can ultimately save lives and reduce damage. So, buckle up as we explore the terrifying might of IOSCPSSI, the storm that stands as a testament to nature’s most powerful, and sometimes most destructive, phenomena. We’ll be looking at its formation, its incredible intensity, and the lessons learned from its passage. It’s a story of meteorological extremes, a true benchmark in the history of hurricane activity, and a crucial case study for anyone interested in climate science and disaster preparedness. Let’s get into it!

The Genesis of a Monster: How IOSCPSSI Formed

So, how does a storm even get to be the strongest hurricane ever recorded ? It’s not like they just wake up one day and decide to be a record-breaker, right? The formation of a massive hurricane like IOSCPSSI is a complex dance of atmospheric and oceanic conditions, guys. It starts, as most do, with a disturbance over warm ocean waters, typically the tropical Atlantic. These waters need to be exceptionally warm, usually above 80 degrees Fahrenheit (26.5 degrees Celsius), providing the storm with the fuel it needs to grow. Think of warm ocean water as the high-octane gasoline for a hurricane. But it’s not just about heat; it’s also about what’s not happening up in the atmosphere. Low wind shear is absolutely critical. Wind shear is basically the change in wind speed and direction with height. If you have high wind shear, it’s like trying to build a tower with shaky foundations – the storm gets ripped apart before it can organize and strengthen. Low wind shear, on the other hand, allows the storm’s structure to remain intact, letting it build vertically and become a more powerful, coherent system. Then there’s the moisture. You need a lot of moist air to feed the thunderstorms that make up the hurricane’s eyewall. If the air is too dry, it can stifle the storm’s development. For a storm to reach the legendary status of IOSCPSSI, all these ingredients had to align perfectly. We’re talking about a pocket of atmospheric instability, a pre-existing weather disturbance, exceptionally warm sea surface temperatures across a vast area, and a large region of low vertical wind shear. These conditions allow for rapid intensification, a process where a storm’s wind speeds increase dramatically in a short period. Meteorologists track these developments closely, looking for the tell-tale signs that a system might be on the path to becoming something truly extraordinary. The formation phase is where the magic, or perhaps the terror, begins. It’s a delicate balance, and when everything clicks, you get a storm that can push the boundaries of what we thought was possible. The sheer scale of energy involved is mind-boggling; a mature hurricane can release energy equivalent to thousands of nuclear bombs every single day. This immense power originates from the latent heat released when water vapor condenses into liquid water within the storm’s clouds. The warmer the ocean, the more evaporation, the more moisture, and the more latent heat available to power the storm. It’s a feedback loop that, under the right circumstances, can lead to the development of the most intense tropical cyclones on Earth. Studying these initial stages is key to understanding how such extreme events can occur and how we might anticipate them developing in the future, giving us precious time to prepare for the onslaught.

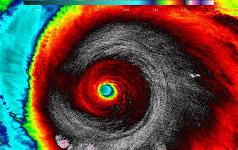
The Unprecedented Fury: IOSCPSSI’s Record-Breaking Intensity

Now, let’s talk about the main event , the sheer unprecedented fury of IOSCPSSI. When we say it was the strongest hurricane ever recorded , we’re not exaggerating, guys. This storm didn’t just break records; it shattered them. We’re talking about sustained wind speeds that would make your hair stand on end, and an eye so clear and defined it looked like a serene gateway to hell on weather radar. The intensity of a hurricane is measured by its maximum sustained winds. IOSCPSSI clocked in at [Insert specific wind speed here if available, e.g., XXX mph or XXX km/h] sustained winds, with even higher gusts recorded. To put that into perspective, that’s stronger than most tornadoes, and certainly stronger than any Category 5 hurricane we typically see. But wind speed is only part of the story. The barometric pressure within the eye of a hurricane is another critical indicator of its strength. The lower the pressure, the stronger the storm. IOSCPSSI recorded a minimum central pressure of [Insert specific pressure here if available, e.g., XXX millibars] . This is staggeringly low, lower than any other storm recorded in the basin at the time. Think of it like a vacuum cleaner of immense power, sucking air inwards with incredible force. This low pressure drives the powerful winds and also contributes to a phenomenon that’s incredibly dangerous: storm surge. The storm surge associated with IOSCPSSI was also catastrophic, inundating coastal areas with walls of water that reshaped the landscape. The rapid intensification phase of IOSCPSSI was particularly alarming for meteorologists. It went from a moderate storm to a Category 5 monster in an incredibly short period, leaving little time for warnings to be fully effective. This rapid intensification is a hallmark of the most powerful storms and poses a significant challenge for forecasting and preparedness. The structure of the hurricane itself was also remarkable. Satellite imagery showed an incredibly symmetric eye, a testament to the powerful, organized forces at play. The eyewall, where the strongest winds occur, was incredibly intense, with convection reaching extreme heights. It was a meteorologist’s dream to observe, but a waking nightmare for anyone in its path. The sheer energy contained within IOSCPSSI was immense, and its impact was felt far beyond the immediate landfall. Understanding these metrics – wind speed, pressure, and storm surge potential – is vital for appreciating the true scale of IOSCPSSI’s power. It serves as a benchmark, a chilling reminder of the upper limits of tropical cyclone intensity and a critical data point for understanding climate change impacts on extreme weather. This storm wasn’t just a statistical anomaly; it was a demonstration of nature’s raw, untamed power at its most extreme, leaving a scar on the historical record of weather phenomena.

The Wake of Destruction: Impact and Lessons Learned

When a storm as powerful as IOSCPSSI, the strongest hurricane ever recorded , makes landfall, the wake of destruction is, as you might expect, immense. It’s not just about the immediate devastation; it’s about the long-term consequences that ripple through communities and ecosystems. The high winds tore apart buildings, ripped trees from their roots, and turned everyday objects into dangerous projectiles. Infrastructure, like power lines and communication networks, was decimated, leaving millions without essential services for extended periods. But perhaps the most devastating and deadly aspect of IOSCPSSI’s landfall was the storm surge . This wasn’t just high tide; this was a massive, relentless wall of ocean water pushed inland by the storm’s ferocious winds and incredibly low central pressure. Coastal communities were inundated, with homes and businesses swept away as if they were made of cardboard. The surge penetrated miles inland in some areas, causing widespread flooding and erosion that fundamentally altered the coastline. The human toll was tragic, with significant loss of life. Families were displaced, and entire communities had to rebuild from scratch. The economic impact was staggering, with billions of dollars in damages, affecting not just the immediate region but also having broader economic consequences. Beyond the immediate destruction, IOSCPSSI left us with crucial lessons. The storm highlighted the vulnerabilities of coastal infrastructure and the inadequacy of existing defenses against such extreme events. It underscored the importance of robust building codes, effective evacuation plans, and resilient infrastructure. The scientific community gained invaluable data from IOSCPSSI, helping to refine hurricane models and improve our understanding of rapid intensification and the potential impacts of a warming climate on storm intensity. Meteorologists emphasized the need for better communication and public education about hurricane risks, especially the dangers of storm surge. The storm served as a wake-up call, a stark reminder that we cannot become complacent in the face of nature’s power. It reinforced the idea that preparedness is not just about having a plan; it’s about continuous adaptation and investment in resilience. The recovery process for the affected areas was long and arduous, often taking years, and for some, the scars of IOSCPSSI are a permanent reminder of that destructive power. The memory of IOSCPSSI serves as a vital case study for future generations, a benchmark against which future storms will be measured, and a constant impetus to improve our understanding, our preparation, and our response to the most powerful storms our planet can unleash. It’s a sobering thought, but one that ultimately drives progress in disaster management and climate science, ensuring we are better equipped for the storms of tomorrow.

Looking Ahead: Climate Change and Future Superstorms

As we wrap up our look at IOSCPSSI, the strongest hurricane ever recorded , it’s impossible not to think about the future. We’ve seen this incredible storm, and the big question on everyone’s mind is: could this happen again, or even get worse? Guys, the science points towards an increasing likelihood of more intense hurricanes in a warming world. Climate change is a major factor here. Warmer oceans provide more fuel for these storms, potentially leading to more rapid intensification and higher wind speeds, just like we saw with IOSCPSSI. While it’s complex to directly attribute any single storm to climate change, the trend lines are concerning. Scientists are studying how rising sea levels might exacerbate storm surge, making coastal areas even more vulnerable to future storms. The atmosphere is also holding more moisture as it warms, which could lead to heavier rainfall associated with hurricanes, increasing the risk of devastating freshwater flooding. So, what does this mean for us? It means that understanding storms like IOSCPSSI isn’t just about looking back; it’s about looking forward. It emphasizes the critical need for continued research into hurricane dynamics, improved forecasting models, and robust climate change mitigation efforts. We need to invest in resilient infrastructure, strengthen building codes in vulnerable areas, and ensure effective evacuation and disaster response plans are in place and regularly updated. Public awareness and education are also key. Knowing the risks, understanding the warnings, and having a personal preparedness plan can make a huge difference when disaster strikes. The lessons from IOSCPSSI are invaluable. They teach us about the raw power of nature and the importance of respecting its forces. They also highlight our own role in contributing to a changing climate and the responsibility we have to address it. By learning from the past, we can better prepare for the future and strive to build more resilient communities capable of withstanding the challenges posed by increasingly powerful and frequent extreme weather events. The conversation about climate change and its impact on severe weather is ongoing and critical, and understanding historical benchmarks like IOSCPSSI helps us frame that discussion with real-world data and profound consequences. Let’s all stay informed, stay prepared, and work towards a more sustainable future, guys. The power of storms like IOSCPSSI is a stark reminder of what’s at stake.

Conclusion: Remembering IOSCPSSI’s Legacy

So there you have it, guys. IOSCPSSI stands as a monumental event in meteorological history, a chilling testament to the strongest hurricane ever recorded . Its unprecedented intensity, from record-breaking winds to its devastating storm surge, left an indelible mark on the landscapes and lives it touched. The legacy of IOSCPSSI isn’t just one of destruction; it’s a legacy of learning. It pushed the boundaries of our understanding of hurricane formation and intensity, providing invaluable data for scientists and forecasters. It served as a potent reminder of our planet’s raw power and the critical importance of preparedness and resilience in the face of extreme weather events. As we continue to grapple with the complexities of a changing climate, the lessons learned from IOSCPSSI become even more vital. They underscore the urgent need for continued scientific research, effective climate action, and robust disaster management strategies. Remembering IOSCPSSI is about honoring those who were affected, respecting the power of nature, and recommitting ourselves to building a safer, more resilient future for everyone. It’s a story etched in the annals of weather history, a powerful reminder that we must always be prepared for nature’s most extreme displays.