Hurricane Satellite View: OSCP SEI Insights

S.Skip 88 views
Hurricane Satellite View: OSCP SEI Insights

Hurricane Satellite View: OSCP SEI Insights

Introduction to Hurricane Observation via Satellites

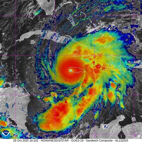
Alright, guys, let’s dive into the fascinating world of hurricane observation using satellites! When we talk about hurricane satellite view , we’re essentially referring to how advanced technology allows us to monitor and understand these powerful storms from space. This is crucial because it gives us a comprehensive overview that’s impossible to get from ground-based or even aircraft-based observations alone. Satellites provide continuous, real-time data, helping meteorologists track the storm’s intensity, path, and potential impact zones with remarkable accuracy.

Satellites equipped with various sensors play a pivotal role in gathering essential data. These sensors capture different types of information, such as visible light images, infrared radiation, and microwave emissions. Visible light images show us the cloud cover and structure of the hurricane, similar to what we’d see with our own eyes, but from a much higher vantage point. Infrared sensors measure the temperature of the clouds, which helps in determining the height and intensity of the storm. Colder cloud tops usually indicate stronger storms. Microwave sensors can penetrate through the clouds, providing insights into the storm’s internal structure and rainfall rates, even when the hurricane is obscured by thick cloud cover.

The data collected from these satellites is used to create detailed models and forecasts. These models help predict where the hurricane is likely to go and how strong it might become. This information is vital for issuing timely warnings and evacuation orders, potentially saving countless lives. Agencies like the National Hurricane Center (NHC) rely heavily on satellite data to provide accurate and up-to-date information to the public. Understanding the significance of satellite monitoring is the first step in appreciating how we prepare for and respond to these natural disasters. So, next time you see a weather report showing a hurricane’s path, remember the incredible technology working tirelessly above us!

Understanding OSCP SEI in the Context of Hurricane Analysis

Now, let’s zoom in on something specific: OSCP SEI. You might be wondering, what exactly is OSCP SEI, and how does it fit into the broader picture of hurricane analysis? OSCP stands for the Ocean Surface Current Prediction, while SEI refers to the Surface Elevation Instrument. Both are sophisticated tools and technologies used in oceanography and meteorology to enhance our understanding and prediction capabilities concerning oceanic phenomena, including hurricanes. Think of them as specialized lenses that allow us to see more clearly how the ocean and atmosphere interact during these intense weather events.

The Ocean Surface Current Prediction (OSCP) system focuses on mapping and predicting ocean surface currents. Why is this important for hurricane analysis? Well, hurricanes are not just atmospheric phenomena; they are intricately linked to the ocean. The intensity and path of a hurricane can be significantly influenced by the temperature and currents of the ocean. Warm ocean currents, for instance, can provide the energy needed for a hurricane to strengthen, while cooler currents can weaken it. By accurately predicting these currents, we can better forecast how a hurricane will evolve.

The Surface Elevation Instrument (SEI), on the other hand, measures the height of the ocean’s surface. This is crucial because changes in sea level can indicate the presence of storm surges, which are often the most deadly and destructive aspect of a hurricane. A storm surge is an abnormal rise in sea level during a storm, pushed towards the shore by the force of the hurricane’s winds. Accurate measurements of sea level help us predict the extent and impact of these surges, allowing for more effective evacuation planning and coastal protection measures. The combination of OSCP and SEI data provides a more holistic view, enabling more accurate and timely predictions, ultimately helping to protect lives and property. So, while it might sound technical, OSCP SEI is a vital component in our arsenal against these powerful storms.

Detailed Examination of Hurricane SSC (Sea Surface Cooling)

Let’s break down another critical aspect of hurricane behavior: Sea Surface Cooling (SSC). This phenomenon plays a significant role in influencing the intensity of hurricanes , and understanding it is essential for accurate forecasting. Sea Surface Cooling refers to the decrease in ocean temperature caused by the passage of a hurricane. Hurricanes are like giant engines that churn the ocean, mixing the warm surface waters with the cooler waters from below. This mixing process leads to a drop in sea surface temperature, which can, in turn, affect the hurricane itself.

The science behind SSC is fascinating. As a hurricane moves across the ocean, its strong winds generate intense turbulence. This turbulence causes the warm surface water to mix with the cooler water beneath. Additionally, the hurricane’s low pressure can cause upwelling, where deeper, colder water rises to the surface. The result is a significant cooling of the sea surface in the hurricane’s wake. This cooling effect can have several consequences for the hurricane. First, it reduces the amount of energy available to the storm. Hurricanes feed off the warmth of the ocean, so when the sea surface cools, the hurricane’s energy supply is diminished. This can lead to a weakening of the storm.

Furthermore, Sea Surface Cooling can influence the hurricane’s steering. The changes in ocean temperature can affect atmospheric pressure patterns, which in turn can alter the hurricane’s track. Predicting SSC is a complex task that requires sophisticated models and data. Scientists use satellite data, buoy measurements, and computer simulations to estimate the amount of cooling that will occur and how it will impact the hurricane. Understanding SSC is crucial for improving hurricane forecasts and mitigating their impact. By accounting for the cooling effect, forecasters can make more accurate predictions about a hurricane’s intensity and path, ultimately helping to protect lives and property. So, remember, it’s not just about the winds; what’s happening beneath the surface matters just as much!

The Role of Satellites in Monitoring SSC During Hurricanes

Alright, let’s talk about how satellites become our eyes in the sky, especially when it comes to monitoring Sea Surface Cooling (SSC) during hurricanes. Satellites play an indispensable role in providing real-time and comprehensive data on ocean temperatures, allowing us to track and understand SSC with unprecedented accuracy. Without these space-based tools, our ability to forecast hurricane intensity and behavior would be severely limited.

Satellites are equipped with a variety of sensors designed to measure sea surface temperature (SST). One of the primary instruments used is the infrared radiometer, which detects the thermal radiation emitted by the ocean’s surface. By measuring this radiation, scientists can determine the temperature of the water. Satellites can cover vast areas of the ocean in a short amount of time, providing a continuous stream of data that is essential for monitoring SSC. This continuous monitoring is particularly important because SSC can change rapidly as a hurricane moves across the ocean. The data collected by satellites is used to create detailed maps of sea surface temperature. These maps show the areas where cooling is occurring, as well as the magnitude of the temperature change. This information is then fed into computer models that simulate the interaction between the hurricane and the ocean. These models help forecasters predict how SSC will affect the hurricane’s intensity and path.

Moreover, satellites provide valuable data even when hurricanes are obscured by cloud cover. Microwave radiometers, for example, can penetrate through clouds, allowing scientists to measure SST even in the presence of thick cloud cover. This is crucial because hurricanes are often surrounded by extensive cloud systems that can block the view of other sensors. In summary, satellites are essential tools for monitoring Sea Surface Cooling during hurricanes. They provide continuous, real-time data on sea surface temperature, allowing scientists to track and understand SSC with unparalleled accuracy. This information is vital for improving hurricane forecasts and mitigating their impact. So, the next time you see a hurricane forecast, remember the satellites working tirelessly above us, providing the data we need to stay safe.

Practical Implications and Future Directions

Now, let’s explore the practical implications of all this satellite data and discuss where things are headed in the future. The insights we gain from monitoring hurricanes via satellite, especially concerning OSCP SEI and Sea Surface Cooling (SSC), have far-reaching effects on our ability to prepare for and respond to these powerful storms.

One of the most significant practical implications is improved hurricane forecasting. By incorporating satellite data into our models, we can make more accurate predictions about a hurricane’s intensity, path, and potential impact zones. This leads to more timely and effective warnings, allowing communities to prepare and evacuate if necessary. Accurate forecasts can save lives and reduce property damage. Satellite data also helps us understand the long-term trends in hurricane activity. By analyzing historical data, we can identify patterns and trends that might not be apparent from ground-based observations alone. This knowledge is crucial for developing strategies to mitigate the impact of hurricanes in the future. Furthermore, the data collected by satellites is used to improve our understanding of the fundamental processes that drive hurricanes. This knowledge can lead to the development of new technologies and strategies for predicting and mitigating the impact of these storms.

Looking ahead, there are several exciting directions in the field of hurricane monitoring. One area of focus is the development of more advanced satellite sensors that can provide even more detailed and accurate data. For example, scientists are working on sensors that can measure ocean salinity and wind speed with greater precision. Another area of focus is the development of more sophisticated computer models that can incorporate satellite data in real-time. These models will be able to simulate the interaction between the hurricane and the ocean with greater accuracy, leading to even more accurate forecasts. Additionally, there is a growing emphasis on using artificial intelligence and machine learning to analyze satellite data. These technologies can help us identify patterns and trends that might be missed by human analysts, leading to new insights into hurricane behavior. In conclusion, the future of hurricane monitoring is bright. With continued investment in satellite technology and data analysis, we can expect to see even more accurate forecasts and a better understanding of these powerful storms, ultimately helping to protect lives and property .