Hurricane Helene: Tallahassee Updates & Live Coverage

S.Skip 77 views
Hurricane Helene: Tallahassee Updates & Live Coverage

Hurricane Helene: Tallahassee Updates & Live Coverage

Hey everyone! Are you guys ready for the latest on Hurricane Helene and its potential impact on Tallahassee? This is where you’ll find everything you need: live updates, the latest news, the storm’s path, and how it might affect us. We’ll dive deep into everything, from the potential damage to the weather conditions. Plus, we’ll keep you informed on evacuations, wind speeds, rainfall, storm surge, preparedness tips, and safety measures. So, buckle up, stay informed, and let’s navigate this storm together. We’ll be updating this constantly, so make sure to keep checking back for the most current information. Let’s make sure we’re all safe and sound, alright?

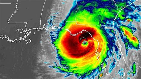
Understanding Hurricane Helene’s Path and Impact

Alright, let’s talk about Hurricane Helene and what it means for Tallahassee, shall we? Understanding the hurricane’s path is super important. We’re not just looking at where it’s headed but also the potential impact on our city. This includes the potential for hurricane helene damage, the hurricane helene weather forecast, and specific hurricane helene impact predictions for Tallahassee. We’ll break down the expected wind speeds, which are crucial for knowing how strong the storm will be, and then look at the expected hurricane helene rainfall, which can cause flooding and other problems. Also, let’s not forget about the hurricane helene storm surge, which is a big deal for coastal areas and can cause major damage. We’ll be following the latest news and updates to keep you in the know. Are there any evacuation orders? Where are the shelters? And how can you protect your property? We’ll cover all these aspects to help you prepare effectively. Remember, being informed is your best defense. We’ll be analyzing the hurricane helene latest news from reliable sources, giving you the most accurate and up-to-date information. Stay tuned, because this is where the real-time updates happen. Also, make sure to review hurricane helene preparedness checklists and hurricane helene safety tips. We’re all in this together, so let’s make sure we’re as prepared as possible.

Now, let’s talk about the specific conditions we are expecting. The hurricane helene wind speed predictions will tell us how strong the gusts might be. This is critical for securing loose objects and knowing whether to expect power outages. We’ll keep you posted on the hurricane helene rainfall forecasts, which will help you plan for potential flooding. It’s important to monitor these details, especially if you live in a flood-prone area. The hurricane helene storm surge predictions will also be crucial for residents in low-lying areas. Understand the potential risks, and know where to seek higher ground if necessary. We will provide updates on where to find the latest news regarding evacuation zones and public shelters so you will be well prepared when the time comes. This detailed breakdown ensures you have all the information to make informed decisions and stay safe. Remember, information is key. This is why we are providing you with information regarding the hurricane helene weather updates. Make sure you also understand the potential hurricane helene impact to the surrounding communities. Keep an eye on the latest information and follow the advice of local authorities.

Anticipating Damage and Preparing for the Worst

Let’s get real about the hurricane helene damage. It’s important to understand the potential harm to property and infrastructure. We’ll provide insights on the expected hurricane helene impact on Tallahassee, covering everything from downed power lines to structural damage. You should know how to assess the damage and report any incidents. Also, knowing about the expected hurricane helene weather is key, as conditions can change rapidly. We’ll keep you updated on the storm’s intensity and path. Also, we will be sure to inform you of the impact on your homes and businesses.

Preparedness is key. Make sure you’re aware of the hurricane helene evacuation zones and any active evacuation orders. If you are in an evacuation zone, it’s imperative to leave immediately. If you have been ordered to evacuate, then evacuate. Be aware of the shelters that are open and how to get there. Also, learn how to secure your property before the storm hits. Bring in outdoor furniture, trim trees, and reinforce windows. Preparing your home can significantly reduce potential damage. Make sure you’ve stocked up on essentials. This includes food, water, medications, and any other necessary supplies. Have enough to last for several days. Knowing how to stay safe during and after the storm is very important. Stay inside during the storm, and away from windows and doors. After the storm, be cautious of downed power lines and damaged structures. Always put safety first. We’ll cover hurricane helene safety tips to help you stay protected. These tips will include advice on how to handle potential flooding, how to avoid hazards, and how to stay connected during power outages. We’re here to keep you informed every step of the way. So, remain calm, stay informed, and follow the guidelines. We’re all in this together, and we’ll get through this, alright?

Live Updates: Tracking Hurricane Helene in Real-Time

Alright, guys, let’s get into the nitty-gritty of Hurricane Helene with our live updates. This is where you’ll get the most current information as it happens. We’ll be bringing you real-time updates on everything from the hurricane’s path and intensity to any evacuation orders or shelter openings. This section will constantly be updated, so it’s your go-to spot for the latest news. We’ll be watching the hurricane helene latest news very closely, and passing that information on to you in real-time. This includes tracking the hurricane helene wind speed and the hurricane helene rainfall predictions. These details are important for knowing what conditions to expect in the hours and days ahead. We’ll also be monitoring the hurricane helene storm surge, which is especially important for coastal areas. We will cover the hurricane helene damage reports as they become available. Understanding the real-time conditions can make a huge difference in how you prepare and respond. Make sure you understand the hurricane helene weather updates. We’re providing live updates on the hurricane helene evacuation status. If there are any evacuation orders, we’ll make sure you know where to go and what to do. The goal is to provide timely and clear information. To help with this, we’ll be monitoring official sources like the National Hurricane Center and local authorities. This ensures the information you get is reliable and up-to-date. Keep checking back, as this section will be updated continuously. We’re here to help you get through this storm safely.

We’ll also include specific details about Tallahassee, like any changes in hurricane helene evacuation zones, and the latest on shelter availability. If there are any updates regarding public services, we will inform you right away. These details are super important for local residents, so you can make informed decisions. We’re keeping a close eye on the hurricane helene wind speed and the hurricane helene rainfall. These details can change rapidly, and we’ll provide you with the most current data. Be prepared to adapt to these changes as they occur. For those in coastal areas, we will also provide regular updates on the hurricane helene storm surge. This will include how it affects those locations. We will provide hurricane helene preparedness guides, and hurricane helene safety tips. We’re committed to giving you the information you need to stay safe. So, hang tight, stay informed, and we’ll get through this together. We will get through this, right?

Stay Informed: Key Sources and Resources

Knowing where to find reliable information is super important. We’ve put together a list of key sources to keep you updated on Hurricane Helene . First off, the National Hurricane Center (NHC) is your go-to for the official forecasts and storm tracking. They provide detailed information on the storm’s path, intensity, and potential impacts. Also, you can find local news outlets, such as your local television stations, and news websites for specific updates about Tallahassee. These outlets will provide information about any evacuations or local emergency measures. Make sure you visit your local government’s official website, or social media pages, for the latest announcements. This is usually the best place to find the most up-to-date, and local information. We’ll be including live links to all of these resources. So, you can easily access the information you need. Also, make sure to check weather apps. You can get real-time data on wind speed, rainfall, and storm surge. These apps are also useful for knowing where any active warnings are located. Remember, staying informed is your best defense during a hurricane. Use these resources to make informed decisions and stay safe. Being prepared is important, so ensure you have a hurricane helene preparedness kit ready. Make sure to review the hurricane helene safety tips to stay protected.

We also want to provide some crucial information on how to stay safe. First, establish your communication plan with your family. Ensure everyone knows how to contact each other in case of a power outage or evacuation. Have a supply kit ready. This includes food, water, medications, and other essential items. Be sure to have flashlights, batteries, and a first-aid kit. Know your evacuation routes and plan to leave if an order is issued. Check in with your neighbors, and make sure that everyone is aware of the situation. Share important information, and help those who might need assistance. Be sure to protect your property by bringing in outdoor furniture. Trim trees, and secure windows. Following these measures will help reduce damage to your home. Make sure you are also updated on the hurricane helene weather, and the hurricane helene impact.

We’re here to keep you safe and informed, so stay alert, and be ready to adapt to changing conditions. Always remember to stay safe during the storm. We’re all in this together, so let’s get through it safely. Remember to keep checking for the hurricane helene latest news. We’re all in this together.