Beryl 2024: Live Hurricane Tracker & Map
Beryl 2024: Live Hurricane Tracker & Map
Hey everyone! Are you ready to dive into the world of Hurricane Beryl 2024 ? We’re going to break down everything you need to know, from tracking its path with a live map to understanding its potential impact. So, grab your coffee, get comfy, and let’s get started. This is going to be your go-to guide for all things Beryl, and we’ll keep it updated as the storm evolves. We’ll be looking at the latest data, forecasts, and everything else you need to stay informed. Let’s make sure you’re prepared and ready to ride out whatever Beryl throws our way. Keep an eye on the official sources, stay safe, and let’s navigate this hurricane season together!
Table of Contents
- What is Hurricane Beryl 2024?
- The Live Hurricane Tracker Map
- How to Read the Live Map
- Understanding the Forecast and Potential Impacts
- Potential Impacts by Region
- Preparing for Hurricane Beryl
- Essential Emergency Supplies
- Staying Safe During and After the Storm
- Post-Storm Safety Measures
- Where to Find Official Updates and Information
- Frequently Asked Questions (FAQ)
- What is the cone of uncertainty?
- How often are hurricane forecasts updated?
- What should I do if a hurricane watch is issued for my area?
- What is the difference between a hurricane watch and a hurricane warning?
- Where can I find real-time updates on Hurricane Beryl?
What is Hurricane Beryl 2024?
So, what exactly is Hurricane Beryl ? Well, it’s a tropical cyclone, a massive rotating storm system characterized by a low-pressure center, strong winds, and heavy rainfall. Hurricanes, like Beryl, are categorized based on their wind speeds, which helps us understand their potential for damage. This year, we’re focusing on the 2024 version of Beryl. The hurricane season officially runs from June 1st to November 30th, so we’re talking about a storm that could develop anytime during this period. Understanding the basics helps us appreciate the importance of tracking and preparedness. Tropical cyclones are fueled by warm ocean waters, which provide the energy they need to form and intensify. As the storm moves across the ocean, it can pick up more moisture and energy, potentially strengthening into a powerful hurricane. That’s why keeping a close eye on the developing storms is so crucial. The National Hurricane Center (NHC) is the primary source of information, providing forecasts and updates on the storm’s track, intensity, and potential impacts. Knowing where the storm is, how strong it is, and where it’s headed are key pieces of information for making informed decisions. Being informed is the first step in staying safe and protecting yourself and your loved ones from the effects of Hurricane Beryl 2024.
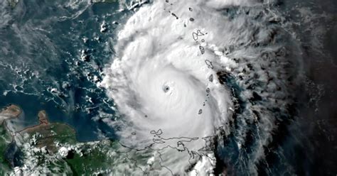
The Live Hurricane Tracker Map
Now, let’s get into the good stuff: the live hurricane tracker map . This is your visual guide to Beryl’s journey. It’s an interactive tool that shows you where the storm is, where it’s headed, and how strong it is. The map is usually updated frequently, sometimes every few hours, to reflect the latest data from the NHC and other weather agencies. What do all those colors and symbols on the map mean? Well, they’re designed to help you quickly understand the storm’s current status and potential impact. Generally, the colors represent different wind speed categories, from tropical depression to major hurricane. The center of the storm is usually marked with a symbol, and the projected path is indicated by a line, with cones of uncertainty showing the range of possible tracks. The map often includes information such as wind speed, pressure, and the storm’s current location. You might see the projected track overlaid on a map of your local area, so you can easily understand the potential impact. It’s a critical tool for staying informed and making sure you’re prepared. You’ll want to regularly check the live map to stay up-to-date on any changes in the storm’s path or intensity. It is essential for monitoring Hurricane Beryl 2024.
How to Read the Live Map
Okay, so the map is up, but how do you actually read it? Let’s break it down! First, identify the storm’s center. This is usually marked with a symbol, like a hurricane icon. Then, look for the projected path. This is a line that indicates where the storm is expected to go. Keep in mind that there is always some degree of uncertainty, so the cone of uncertainty is a crucial part of the map. It shows the range of possible tracks, with the center line representing the most likely path. The map will also display the storm’s intensity, usually categorized by wind speed. Pay attention to the colors; they often correspond to different categories of hurricanes. Additionally, the map will display the wind speed, showing how strong the winds are near the storm’s center. You’ll often see other information, like the storm’s pressure, which is an indicator of its intensity. Knowing how to read these details allows you to understand the storm’s potential threat. As you follow the storm, regularly refresh the map to see any changes in the forecast. Stay informed about the hurricane’s path and intensity to make informed decisions and stay safe. Remember, staying informed is key to preparing for Hurricane Beryl 2024. Knowing what the map is telling you is the most important part of keeping up with this hurricane.
Understanding the Forecast and Potential Impacts
Alright, let’s talk about the forecast and potential impacts of Hurricane Beryl. The forecast is based on complex computer models that predict the storm’s path, intensity, and potential impacts. Meteorologists analyze this data, along with observations from satellites, aircraft, and surface stations, to create forecasts that provide important information about what to expect. This includes the storm’s projected path, wind speeds, rainfall amounts, and potential for storm surge. Understanding the forecast helps you prepare for the potential impacts of Beryl. These can include strong winds, heavy rainfall, flooding, and storm surge. The forecast will also provide information on the areas that are most likely to be affected by the storm, so you know if you need to take action. This information also allows you to plan accordingly, whether you need to evacuate, secure your property, or gather emergency supplies. Storm surge, which is the rise in sea level caused by a hurricane’s winds, is often one of the most dangerous effects. The forecast will estimate the potential for storm surge in different areas, so you can take steps to protect yourself. Make sure you’re staying informed about the forecast for Hurricane Beryl 2024.
Potential Impacts by Region
The impact of Hurricane Beryl will vary depending on the storm’s path and intensity. Areas in the direct path of the storm will likely experience the most severe effects, including strong winds, heavy rainfall, and potential flooding. The extent of the damage depends on how strong the winds are and the amount of rainfall the area receives. Low-lying coastal areas are particularly vulnerable to storm surge, which can cause significant flooding and erosion. Interior areas may experience heavy rainfall, leading to flash flooding. Even areas outside the direct path of the storm can be affected. They may experience strong winds, heavy rainfall, and even tornadoes. The effects can vary widely based on the storm’s track. Pay attention to the specific areas that are highlighted in the forecast to understand the potential for impacts in your area. This will help you know the potential risks of Hurricane Beryl 2024.
Preparing for Hurricane Beryl
Okay, so what can you do to prepare for Hurricane Beryl ? The most important thing is to have a plan. Know your evacuation routes, the location of your nearest shelter, and how you will communicate with your family. Gather emergency supplies, including non-perishable food, water, medications, flashlights, batteries, and a first-aid kit. Secure your home by trimming trees, securing loose objects, and reinforcing windows and doors. Stay informed by monitoring the forecasts and warnings from the National Hurricane Center and local authorities. If you’re told to evacuate, do it! Don’t wait until the last minute. Pack your emergency kit, secure your home, and head to a safe location. If you are staying in your home, make sure you have enough food and water to last several days, along with any necessary medications. Understand the potential risks in your area, such as flooding, storm surge, and high winds, and take steps to protect yourself. Having a plan, gathering supplies, securing your home, and staying informed are critical steps to protect yourself and your family during Hurricane Beryl 2024.
Essential Emergency Supplies
Let’s get into the specifics of essential emergency supplies. You’ll need enough food and water to last several days. A good rule of thumb is to have at least a gallon of water per person, per day. Non-perishable food items are a must, such as canned goods, crackers, peanut butter, and dried fruits. You’ll need a first-aid kit, complete with bandages, antiseptic wipes, pain relievers, and any personal medications. Flashlights and extra batteries are essential, as power outages are common during hurricanes. A battery-powered or hand-crank radio is also a must-have to stay informed about the storm’s progress. You will need other items, such as a manual can opener, a whistle to signal for help, and any special items you or your family members might need. Having these supplies on hand allows you to take care of yourself and your family during a hurricane. Make sure you gather these supplies and have them ready before Hurricane Beryl 2024.
Staying Safe During and After the Storm
So, what do you do to stay safe during and after the storm? During the hurricane, stay indoors and away from windows and doors. If you’re in a high-rise building, move to a lower floor. Stay informed by listening to local news and weather reports. Avoid going outside during the storm, and never drive through flooded areas. After the storm has passed, be cautious. Watch out for downed power lines, which can be extremely dangerous. Avoid driving unless it is necessary, as there may be debris on the roads. Report any damage to your home or property to the appropriate authorities. Be careful when cleaning up debris, and wear protective clothing and gloves. If you evacuated, wait for the all-clear from local authorities before returning home. Monitor the weather forecast and any potential hazards. Your safety is paramount. Staying indoors during the storm and avoiding hazards after the storm will keep you and your family safe. Let’s make sure we’re prepared for Hurricane Beryl 2024.
Post-Storm Safety Measures
After the storm, it’s crucial to take additional safety measures. First, be aware of downed power lines, which can be deadly. Report any downed power lines to the local authorities immediately. Check for structural damage to your home before entering. If you smell gas, leave the house immediately and contact the gas company. Watch out for hazards like flooding, debris, and damaged trees. Do not enter any floodwaters, as they may be contaminated. Wear protective clothing and gloves when cleaning up debris. Be aware of the potential for carbon monoxide poisoning from generators. Never use a generator indoors, and always ensure proper ventilation. Keep an eye on any ongoing risks. Following these safety measures can help protect you and your family. Remember, these measures are essential to staying safe after Hurricane Beryl 2024.
Where to Find Official Updates and Information
Where can you find the official updates and information about Hurricane Beryl? Your primary source is the National Hurricane Center (NHC), the official government agency that monitors and forecasts hurricanes in the Atlantic and Pacific basins. Check their website regularly for the latest advisories, forecasts, and warnings. Local news outlets, including television, radio, and online news sites, will provide information from the NHC and local emergency management agencies. Your local emergency management agency will provide information about local preparedness, evacuation orders, and other important information. Check social media for updates from trusted sources. Be sure to check with your local government’s official website or social media channels for the most relevant information. Only use credible sources! Having reliable information is essential for staying informed about the storm’s path and intensity. Stay updated on the potential impacts of Hurricane Beryl 2024.
Frequently Asked Questions (FAQ)
What is the cone of uncertainty?
The cone of uncertainty is a graphical representation on the hurricane tracking map. It depicts the probable track of the storm’s center, based on historical forecast errors. It does not represent the size of the storm itself, but rather the range of possible paths the storm could take. It’s a key element of understanding the forecast’s accuracy.
How often are hurricane forecasts updated?
Hurricane forecasts are typically updated every six hours, but can be updated more frequently if conditions warrant. The NHC issues these updates to provide the latest information on the storm’s track, intensity, and potential impacts.
What should I do if a hurricane watch is issued for my area?
If a hurricane watch is issued, you should start preparing for the possibility of a hurricane. Review your hurricane plan, gather emergency supplies, and stay informed about the storm’s progress. A hurricane watch means hurricane conditions are possible within the specified area, usually within 48 hours.
What is the difference between a hurricane watch and a hurricane warning?
A hurricane watch means that hurricane conditions are possible within the specified area, usually within 48 hours. A hurricane warning means that hurricane conditions are expected within the specified area, usually within 36 hours. A warning indicates that you should take immediate action to protect yourself and your property.
Where can I find real-time updates on Hurricane Beryl?
You can find real-time updates on the NHC website, local news outlets, and weather apps. These sources provide the latest information on the storm’s track, intensity, and potential impacts. Staying informed is key to making informed decisions and protecting yourself and your family.
I hope this guide has helped you! Stay safe, and we will get through Hurricane Beryl 2024 together! Remember to always prioritize your safety and follow the guidance of local authorities. We’ll be updating this information as the storm evolves, so check back regularly for the latest details. Stay safe, stay informed, and let’s get through this together!